エクソソームフェイシャル

エクソソームフェイシャル

EXOSOME FACIAL

エクソソーム×ダーマペン4による肌質改善ケアで若々しい肌に

  • 高い効果が期待できる「M2Pエクソソーム™」を肌に補給
  • 肌の自己修復力を高めてハリ・ツヤのある若々しい印象に
  • ニキビ痕や毛穴の開きなどの肌悩みを細胞レベルでケア
堀田 和亮
監修医師
理事長 堀田 和亮

「世界で通用する日本品質の美容医療」を理念に掲げ、美容外科、美容皮膚科、美容内科、美容婦人科、再生医療、アートメイク、審美歯科、各分野の専門ドクターチームを統括。Creation Labo(クリラボ)代表理事やcutting edge(カッティングエッジ)プロデューサー、日本美容内科学会理事など、クリニック外でもリーダーとして活躍しています。目指すのは満足を超えた感動。美容医療の枠を超えLifestyle Beautyを提案する美容医療界のGame Changerです。

BIANCA CLINICならではの取り組み

抗炎症作用に特化したM2Pエクソソーム™が若々しい印象へ導く

エクソソームを用いた治療は、使用するエクソソーム製剤の培養環境や由来する細胞によって効果の実感に大きな差があるといわれています。

BIANCA CLINIC(ビアンカクリニック)では、「M2Pエクソソーム™」を使用。若く健康なドナー由来の幹細胞の中から約5000個に1個の割合で存在する、細胞老化が進みにくいとされるエリート幹細胞を培養し、抽出されたエクソソームです。

「M2Pエクソソーム™」は、エイジングサインへのアプローチに大きく関わる抗炎症作用に優れており、肌の老化サインに効果的なアプローチを行えることが特徴。なお、肌に取り込んだエクソソームは役目を終えた後、1~2日で自然に消滅します。幹細胞そのものを使用していないため、腫瘍の形成・免疫拒否反応のリスクを回避できるといわれており、安全性に配慮された設計です。

再生医療の力で患者さまの美容と健康をサポートする専門の医師とともに、ぜひエクソソームによる肌治療の効果をお確かめください。

WEB予約
RESERVATION
24時間受付
WEB予約はこちら

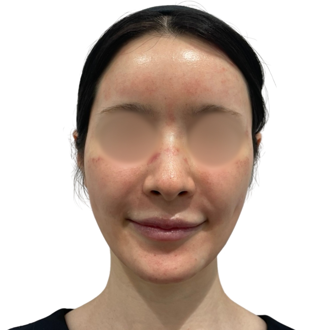
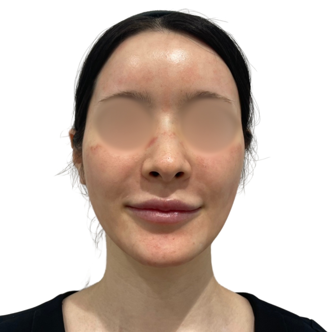
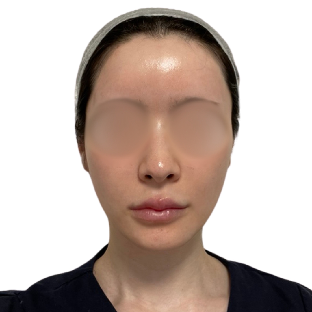
ダウンタイム

DOWNTIME
術後1週間程度、赤み、ひりつき、皮剥けなどがみられます。
エクソソームフェイシャル
術直後
エクソソームフェイシャル
術後1日目
エクソソームフェイシャル
術後2日目
エクソソームフェイシャル
術後3日目
エクソソームフェイシャル
術後4日目
エクソソームフェイシャル
術後5日目
エクソソームフェイシャル
術後6日目
エクソソームフェイシャル
術後7日目

こんな人におすすめ

RECOMMENDED FOR:
毛穴の開きが気になる
ニキビ痕・クレーターに悩んでいる
肌質改善したい
肌がゴワついてメイクのりが悪い
ハリやツヤのある肌になりたい
若々しい印象を目指したい
WEB予約
RESERVATION
24時間受付
WEB予約はこちら

特徴

CHARACTERISTICS

エクソソームフェイシャルとは

エクソソームフェイシャルとは、ダーマペン4の極細針で肌に微細な穴を開けた後、細胞間の情報伝達を担う働きがあるといわれている肌再生幹細胞「エクソソーム」を、肌へ直接塗布し、コラーゲンの生成促進、毛穴の引き締め、ニキビ痕軽減などを図る施術です。

もともと私たちの体内に存在するエクソソームは、細胞間の情報伝達を担う働きによって、抗炎症作用や組織の修復作用がもたらされます。再生医療の分野で注目されているエクソソームですが、肌老化にも効果を発揮する可能性があるとして美容医療の分野でも活用されています。

エクソソームフェイシャルは、加齢とともに分泌量が減少していくエクソソームを肌へ効率良く補充し、細胞レベルから肌のエイジングケアを図ります。

エクソソームフェイシャルとは<br />

ダーマペン4との組み合わせで再生効果を高める

エクソソームフェイシャルに用いるダーマペン4は、33G(0.2mm)という非常に細い16本の針で、1秒間に最大1920個もの微細な穴を開けることが可能です。ダーマペン4の使用によりエクソソームが肌内部まで届き、線維芽細胞へ活性化のメッセージを伝達。肌のターンオーバーをサポートします。さらに肌の傷を修復しようとする自然治癒力が高まり、体内のコラーゲン生成もサポート。毛穴の引き締めやハリ感アップなど、肌質を整える作用を引き出します。

エクソソームは目的やお悩みに応じて、局所への手打ち注射や体内への点滴で取り入れることも可能。手打ち注射はシミ・しわ・薄毛改善などに、点滴はダウンタイムの軽減や疲労回復、集中力アップなど、美容と健康の両面に働きかける効果が期待されます。

ダーマペン4との組み合わせで再生効果を高める<br />

1週間程度のダウンタイムを経て健やかな肌に

エクソソームフェイシャルは、ダーマペン4を用いて肌の再生力を引き出すアグレッシブな治療。施術後は約1週間程度、赤み・ざらつき・皮むけといったダウンタイム症状が起こることがあります。特に施術直後は赤みやひりつきがあり、メイクをしないと目立ちやすい状態になりますが、3日目頃から皮むけが始まり、毛穴の目立ちが徐々に軽減されていく実感を得られる方もいらっしゃいます。画像のように、日を追うごとに肌の質感がなめらかに整い、1週間後にはハリと透明感のある肌へと変化していく傾向です。

適切なペースで繰り返し施術を受けることで、毛穴の開きやニキビ痕にもさらなる変化が期待できるため、リピーターの方にも選ばれています。

メリット

MERIT

エクソソームとダーマペン4の相乗効果

ダーマペン4との組み合わせによって、肌再生幹細胞エクソソームが肌内部へ届く。ターンオーバーとコラーゲン生成がサポートされ、若々しい印象の肌に。

厳選されたM2Pエクソソームだけを肌へ

細胞老化が進みづらいといわれているエリート幹細胞のみを培養で増やし、厳選した「M2Pエクソソーム™」を使用するから変化が期待できる

肌悩みを細胞レベルでケアできる

細胞間コミュニケーションを活性化させるエクソソームの働きにより、加齢に伴う肌悩み、ニキビ痕やクレーターをケア

おすすめポイント

RECOMMENDED POINTS

ニキビ痕のお悩みにも効果が期待できる

セルフケアでは改善が難しいニキビ痕・クレーターのお悩みも、肌の再生と再構築を図るエクソソームフェイシャルでアプローチできます。極細針で肌の細かい部分まで刺激を与えるダーマペン4と、ターンオーバー促進・コラーゲン産生などの働きをサポートするエクソソームの作用によって、色素沈着を伴うニキビ痕の改善、クレーターのニキビ痕を滑らかにする効果が期待できます。定期的なメンテナンスとして、取り入れてみてはいかがでしょうか。

ビアンカでは、医師によるカウンセリングとともに、高性能肌診断機「VISIA®(ビジア)」を使用した詳細な肌診断を実施。肌内部のニキビ菌の状態などを数値化・視覚化し、患者さまの肌状態を把握します。これにより、一人ひとりのニキビ痕の状態に合わせた施術プランを提案することができますので、ニキビ痕やクレーターでお悩みの方はお気軽にご相談ください。

他の製剤をブレンドした肌育メニューも

ビアンカでは、ハイドロブースト・水光注射など、エクソソームを用いたスキンブースター治療も提供しています。
ハイドロブーストは、ハイブリッドヒアルロン酸「ハイドロ」にボツリヌストキシン製剤とエクソソームを独自にブレンドした製剤を手打ちで注入する肌育治療。乾燥やハリ不足、小ジワといったあらゆる悩みにアプローチします。

ビアンカの水光注射は、9つの針を備えた「ベラヴィータ」という機器を使用し、エクソソーム・ハイドロ・ボツリヌストキシン製剤を組み合わせた薬剤を、皮膚の浅い層に均一に注入。ハリ・ツヤのある肌へと導きます。
いずれも高品質のエクソソーム製剤に加え、お悩みや症状に合わせた薬剤をブレンドするため理想の素肌になるためのアプローチが可能です。美しさを保つための肌メンテナンスを始めたい方は、ぜひご相談ください。

美容再生医療の力で肌悩みへアプローチ

ビアンカクリニックは厚生労働省に第二種再生医療等提供計画を提出し、計画番号(PB3200157)を取得した、再生医療を正しいプロセスで提供できる医療施設。
エクソソームフェイシャル以外にも、再生医療分野のメニューを豊富にご用意しています。

 

PRP注入は、自身の血液から抽出した血小板を高濃度に濃縮したPRP(多血小板血漿)を、肌の気になる部位へピンポイントで注入する施術です。ハリ・弾力を高めて、目周りや額、ほうれい線などのシワにアプローチします。

ヴァンパイアフェイシャルは、自身の血液で生成した高濃度PRPに美容液を加えた製剤を、ダーマペン4で微細な穴を開けた肌へ塗布し、コラーゲン生成や肌再生をサポートする施術。肌質改善やニキビ痕に効果が期待できます。
真皮線維芽細胞療法(Fibroblasts)は、自分の皮膚から採取した真皮線維芽細胞を培養し、再び注入する再生医療。シワやたるみが気になる顔や首、手に注入することで、若々しい印象を目指せます。

 

ナノステムは、ご自身の腹部や太ももなどから採取した脂肪をもとに、“シルキーファット”を生成し、ダーマペン4 によるマイクロニードリングで肌の浅い層に導入する、先進の肌再生エイジングケア施術です。

再生医療の力で老化サインにアプローチしたい方、自分に合う施術が知りたい方は、お気軽にカウンセリングにお越しください。

WEB予約
RESERVATION
24時間受付
WEB予約はこちら

施術箇所

TREATMENT AREA

全顔

施術の流れ

CONTENT OF TREATMENT

洗顔

お肌を清潔な状態にするため、まずはクレンジングと洗顔をしていただきます。

洗顔<br />

医師の診察・カウンセリング

医師がお肌の状態を診察し、施術内容や術後の注意事項を詳しくご説明します。不安な点や疑問点がありましたら、遠慮なくお伝えください。

医師の診察・カウンセリング<br />

麻酔

麻酔クリームを塗布し、施術の痛みに配慮いたします。

施術

肌の上を滑らすようにダーマペン4を当て、細かい穴を開けたところにエクソソームを塗布します。終了後はアフターケアを行い、当日ご帰宅いただけます。

施術<br />

料金表

PRICE LIST
エクソソームフェイシャルの料金表

エクソソームフェイシャル

部位 1回 3回 6回
全顔 142,560円 342,100円 598,730円
WEB予約
RESERVATION
24時間受付
WEB予約はこちら
CONCEPT
CONCEPT
美容医療の枠を超え
Lifestyle Beautyを提案する。

目指すのは満足を超えた感動。
「もっと美しく健康に」という願いに応え、
患者様の幸せのために何ができるのか?
人生を輝かせるトータルビューティーの提供、
それが当院のポリシーです。

BIANCAに行けば笑顔になれる。
そんな場所を目指しています。

このお悩みにおすすめの商品

RECOMMENDED PRODUCTS

エクソソームフェイシャルのよくある質問

Q&A

エクソソームの効果はいつから現れる?

エクソソームフェイシャルの効果が現れるまでの期間は、体質により個人差があります。エクソソームが細胞にアプローチするまでの時間を要するため、一般的には治療から数週間で肌の変化が現れてくる傾向です。エクソソームの効果をしっかりと引き出すためにも、複数回治療を受けていただくことを推奨しています。

エクソソームはどのくらいの頻度で受けたらいい?

エクソソームフェイシャルを受ける頻度は、肌の状態や目的によって個人差があります。一般的には、まず3週間ごとの頻度で受けていただくことを推奨しています。肌治療についての知識豊富なドクターとともに治療計画を立て、理想の素肌を目指しましょう。

エクソソームフェイシャルとエクソソームパックは何が違う?

エクソソームフェイシャルがエクソソームパック大きく違う点は、ダーマペン4で肌内部まで直接エクソソームを届けられること。エクソソーム入り化粧品を称するアイテムには、エクソソーム化粧水やエクソソームクリームなどがありますが、これらはあくまで肌表面へのアプローチとなります。
長期的な肌質改善の効果を得たい方は、エクソソームフェイシャルを検討すると良いでしょう。

エクソソームは薄毛治療に効果がある?

エクソソーム注射で頭皮に局所注入することで、薄毛ケアが行えるといわれています。近年AGA治療の分野でも注目されているエクソソーム。
脱毛予防・育毛促進のほか、白髪予防にも効果が期待できますので、毛髪の老化症状が気になる方もお気軽にご相談ください。

エクソソームフェイシャルはエクソソーム点滴と何が違うの?

エクソソームフェイシャルが肌質改善に用いられるのに対し、エクソソーム点滴による全身投与は、治療後のダウンタイム軽減効果のほか、慢性疲労の回復・不眠の改善・集中力アップといった幅広い目的で用いられています。
ビアンカでは点滴療法メニューを多数ご用意していますので、ご自身の身体に必要な成分や点滴の頻度が知りたい方はぜひご相談ください。

エクソソームフェイシャルのデメリットは?

エクソソームフェイシャルのデメリットとして、一定期間のダウンタイムが生じることが挙げられます。
ビアンカクリニックでは、ダウンタイム中のケア方法について丁寧にアドバイスを実施。施術中の痛みは麻酔を使用することで配慮しています。ご不安な点や疑問がありましたら、カウンセリング時にお気軽にお尋ねください。

エクソソームフェイシャルは男性も受けられる?

エクソソームフェイシャルは男性も受けられます。メンズ美容としても注目されているメニューですので、エクソソーム治療を受けたい方はお気軽にご相談ください。

【施術の内容】エクソソームフェイシャル(ダーマペン4によりエクソソームを導入する施術)
【施術期間および回数の目安】3週間に1回程度※肌状態によって異なります。
【リスク・副作用等】赤み、ひりつき、皮剥けなど
【未承認機器・医薬品に関する注意事項について】
・本治療には、国内未承認医薬品または薬事承認された使用目的とは異なる施術が含まれます。
・施術に用いる医薬品および医療機器は、当クリニック医師の判断のもと個人輸入手続きが行われています。
・個人輸入における注意すべき医薬品等に関する情報は、下記をご参考ください。
 https://www.yakubutsu.mhlw.go.jp/individualimport/purchase/index.html
・薬事承認を取得した製品を除き、同一成分や性能を有する他の国内承認医薬品および医療機器はありません。
・諸外国における安全性等に係る情報
-ダーマペン4はアメリカFDA(アメリカ食品医薬品局)の承認を取得しています(承認番号:K221070)
-重大なリスクや副作用が明らかになっていない可能性があります。
・万が一重篤な副作用が出た場合は、国の医薬品副作用被害救済制度の対象外となります。

WEB予約
RESERVATION
24時間受付
WEB予約はこちら
アイコン