ララピール

ララピール

LHALA PEEL

角質ケアしながら肌を育てる!敏感肌でも受けられるピーリング

  • 韓国発!次世代ピーリング施術で憧れの水光肌を叶える
  • 肌に優しいピーリング施術だから敏感肌でも安心
  • 角質を除去するだけでなく肌を育てる、別名“肌育ピーリング”
堀田 和亮
監修医師
理事長 堀田 和亮

「世界で通用する日本品質の美容医療」を理念に掲げ、美容外科、美容皮膚科、美容内科、美容婦人科、再生医療、アートメイク、各分野の専門ドクターチームを統括。Creation Labo(クリラボ)代表理事やcutting edge(カッティングエッジ)プロデューサー、日本美容内科学会理事など、クリニック外でもリーダーとして活躍しています。目指すのは満足を超えた感動。美容医療の枠を超えLifestyle Beautyを提案する美容医療界のGame Changerです。

BIANCA CLINICならではの取り組み

肌悩みや状態に合わせて選べるメニュー
ピーリングパラダイス

BIANCA CLINICでは、ララピールをはじめマッサージピールやバイオリピールなど、全部で5つのピーリングメニューを取り扱っているのが特徴です。

それぞれの肌悩みや肌の状態により、適したピーリングメニューは異なります。その時々で好きなピーリングメニューを選びたいという方におすすめなのが、ピーリングパラダイス。バリエーション豊かなピーリングメニューから、都度好きなピーリングメニューを選択して施術を受けることができます。

BIANCAドクターが適した施術を提案させていただくので、自分で選べないという方もご安心ください。ピーリングパラダイスでは、ララピールの選択も可能。ピーリングメニューが豊富な、BIANCA CLINICならではの選択肢となっています。

症例紹介

CASES
症例一覧へ
WEB予約
RESERVATION
24時間受付
WEB予約はこちら

ダウンタイム

DOWNTIME
ララピールは肌への刺激が少ないピーリングです。ただし、個人差はありますが、肌の状態によっては赤みや薄い皮剥けが起こる場合もあります。施術してからの数日間は乾燥や日焼けなどしやすい状態になるため、保湿と紫外線対策をしっかりと行い、肌の摩擦も避けてください。

【その他の注意事項】
以下の方は施術を控えていただく場合があります。
・アトピー性皮膚炎の方
・皮膚に炎症や傷がある方
・アレルギー体質の方
・肌の調子が悪い方
・施術部位に真菌性疾患、ヘルペスなどがある方
・強い日焼け後、もしくはこれから日焼けする予定のある方
・妊娠中、授乳中の方

※過酸化ベンゾイル(ベピオゲル・デュアックなど)やトレチノイン(レチン・ディフェリンゲルなど)をご使用の方、またはそのほかのピーリングを使用している方は反応が強く出る場合があります。ララピールとの施術間隔を2 週間ほど開けていただきますようお願いいたします。詳しくは医師にお尋ねください。
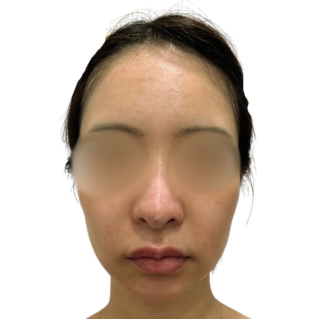
ララピール
術直後
ララピール
術後1日目
ララピール
術後2日目
ララピール
術後3日目
ララピール
術後4日目
ララピール
術後5日目
ララピール
術後6日目
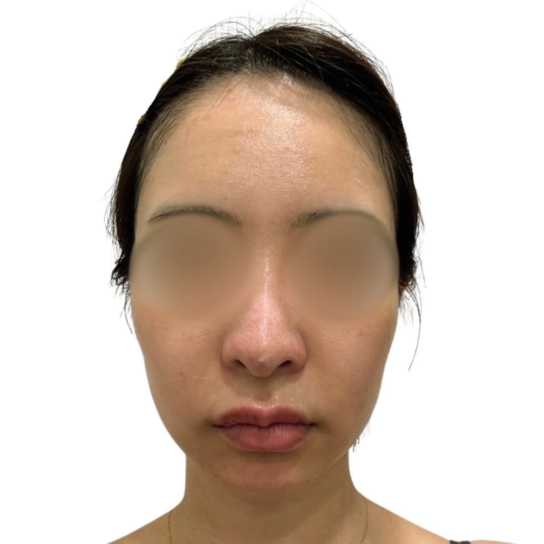
ララピール
術後7日目

こんな人におすすめ

RECOMMENDED FOR:
くすみが気になる
ハリ・ツヤが欲しい
毛穴汚れ・皮脂汚れをクリアにしたい
ニキビ・脂性肌が気になる
シミ・肝斑が気になる
ほかのピーリングでは肌荒れしてしまう
痛みやダウンタイムを避けたい
WEB予約
RESERVATION
24時間受付
WEB予約はこちら

特徴

CHARACTERISTICS

ララピールとは

ララピールとは、化粧品会社であるロレアル社が開発した成分LHA(カプリロイルサリチル酸)にアルカリを結合させた韓国発のピーリングです。人為的に角質を剥がすのではなく、LHAの作用により肌の不要なたんぱく質を溶かして余分な角質を除去するため、肌の負担が少ないのが特徴です。

 

また、従来のピーリングは「Peeling(剥く)」に重点が置かれていましたが、新概念のピーリングであるララピールはさらに「Filling(満たす)」にもフォーカスしています。ピーリング剤を肌に浸透させることでターンオーバーを促進。内側からふっくらとした肌に導きます。

ララピールとは

肌を育てる第4世代ピーリング

ピーリングとは、薬剤を用いて肌表面の古い角質を除去し、肌のターンオーバーを促進する施術法です。ピーリングは以前から行われてきた施術ですが、時代とともにより安全で効果的な方法に変化してきています。

 

第1世代 AHA(乳酸やグリコール酸などのアルファヒドロキシ酸)
第2世代 BHA(サリチル酸とも呼ばれるベータヒドロキシ酸))
第3世代 PHA(AHA由来のポロヒドロキシ酸)
第4世代 LHA(カプリロイルサリチル酸)

第1世代と第2世代は、AHAやBHAを塗布することによる化学反応で、少しずつ皮膚を剥離するケミカルピーリングでした。第3世代はピーリング剤が肌にとどまり水分量を増やしつつピーリング効果を発揮する剥がさないピーリングですが、ピリピリとした刺激や施術後の赤み、皮剝けが出やすいというデメリットがあります。

 

ララピールが該当する第4世代ピーリングは、LHAにより肌にたまった角質やメラニンを溶かしながら有効成分を肌の深部に届ける施術です。自然な角質剥離に近いプロセスで角質を除去するため、これまでのピーリングと比べて刺激が少なく肌に優しいのが特徴です。肌を満たすことにも重点を置いており、肌内部に薬剤を浸透させてターンオーバーを促進。皮膚を薄くするのではなく厚くなるよう促して、ふっくらとした肌に導きます。

肌を育てる第4世代ピーリング

ララピールの3つの主成分

ララピールは角質を除去するLHAにアルカリ成分のP-solTM、脂質成分のLipidsと、3つの成分で構成されています。成分それぞれの効果と役割は以下のとおりです。

 

LHA(カプリロイルサリチル酸)…化粧品会社であるロレアル社が開発した新しい成分。ケミカルピーリングで使われる酸とは異なり、親油性で肌に刺激を与えずゆっくりと均一の角質を除去。
P-solTM(ピーソル)…韓国の特許 天然オイル由来のアルカリ。コラーゲンやエラスチン、ヒアルロン酸など肌のハリとなる成分を生成し、肌にハリを与える。
Lipids(リン脂質)…角質層に似た天然皮膚構造材。損傷した皮膚が回復するまでの間皮膚の役割を担い、肌のバリア機能を強化する。

ララピールの3つの主成分

メリット

MERIT

肌を育てて内側から輝く水光肌に導く

ララピールは角質を除去するだけでなく、内側から肌を育てることにもフォーカスしたピーリングです。回数を重ねることで肌を育てて、内側からツヤを感じる水光肌に導きます。

刺激が少なく敏感肌の方も安心!

ララピールの主成分であるLHA(カプリロイルサリチル酸)は、肌と同じ弱酸性(Ph5.5)。塗布したときの刺激が少なく、敏感肌の方も施術することができます。

ダウンタイムがほとんどない

ララピールは肌を剥く施術ではないため、ほかのピーリングのようなヒリつきなどがなく、ダウンタイムがほとんどありません。そのため、最短1週間後に次の施術が行うことができます。

おすすめポイント

RECOMMENDED POINTS

韓国では美肌管理治療としても注目

ララピールは韓国で生まれた最新のピーリング施術です。韓国の女優がSNSで紹介したことから人気に火がついたため、女優ピーリングと呼ばれることもあります。ダウンタイムがほとんどないため、韓国の女優やK-POPアイドルは撮影前の美肌管理治療として受けることもあるそう。イベント前の駆け込み施術としてもおすすめです。韓国での人気を受け、日本でも人気が高まりつつあります。韓国女優やK-POPアイドルのような内側からツヤを感じる肌を目指しているなら、ぜひ受けてみてほしい施術です。

回数を重ねることでより効果を実感しやすい

ララピールは1回でも肌のしっとり感が高まるなどの効果が感じられやすい、美容医療初心者にもおすすめの施術です。ただし、肌育ピーリングとの呼び名の通り、回数を重ねることで肌質の変化を感じられる点がララピールの特徴。回数を重ねることで、肌のハリやツヤなどの効果をより実感しやすくなります。肌の負担が少なくダウンタイムがほとんどないため、最短1週間で次の施術を受けることも可能!短いスパンで施術を受け、美肌をキープすることもできます。推奨ペースは2~4週間おきに、3~5回施術を受けるという頻度。それ以降は、1~2ヶ月おきの施術を繰り返すことで肌のエイジングケアにつながります。

ほかの施術と組み合わせて効果を高めるのもおすすめ

ララピールをほかの施術と組み合わせて、より効果を高めるのも良いでしょう。ララピールを施術したあとの肌は、不要な角質や汚れが除去された状態です。そのため、普段よりも浸透力が高まり、より満足度の高い肌治療ができるでしょう。ララピールと併用できる治療はたくさんあるので、肌悩みを伺ったうえで提案させていただきます。

WEB予約
RESERVATION
24時間受付
WEB予約はこちら

施術箇所

TREATMENT AREA

施術の流れ

CONTENT OF TREATMENT

医師の診察・カウンセリング

医師の診察とカウンセリングを行い、肌悩みと肌の状態をチェックします。施術内容・効果・注意点などをご説明しますので、ご不明な点やご心配なことなどはどうぞお気軽にお尋ねください。ご希望により、ほかの施術を併用することもあります。

医師の診察・カウンセリング

施術準備

ララピールの施術はメイクを落とした状態で行うため、患者様自身で事前にクレンジングと洗顔をしていただきます。

施術準備

施術

まずはララフォームという専用の泡洗顔で顔の余分なたんぱく質や汚れ、ホコリなどを取り除きます。そのあとララフォームベーシック(1剤)を塗布して肌表面をケア。次にララフォームウルトラ(2剤)を塗布して、肌の深層にアプローチします。

アフターケア

施術後は、仕上げにクリームを塗って肌を整えます。肌の状態にもよりますが、問題なければ施術後すぐにメイク可能です。入浴や洗顔も施術当日よりしていただけます。また、施術後の肌は乾燥しやすい状態になっているため、普段のスキンケアにパックをプラスするなど保湿を意識的に行っていただくようお願いしています。

料金表

PRICE LIST
ララピールの料金表

ララピール

部位 通常
全顔 17,930円

ピーリングパラダイス

部位 5回 10回
全顔 毎回お好きなピーリング剤をご選択いただけます 80,740円 143,440円

※WiQoクリームでの保湿・鎮静トリートメント付き

WEB予約
RESERVATION
24時間受付
WEB予約はこちら
CONCEPT
CONCEPT
美容医療の枠を超え
Lifestyle Beautyを提案する。

目指すのは満足を超えた感動。
「もっと美しく健康に」という願いに応え、
患者様の幸せのために何ができるのか?
人生を輝かせるトータルビューティーの提供、
それが当院のポリシーです。

BIANCAに行けば笑顔になれる。
そんな場所を目指しています。

ララピールのよくある質問

Q&A

ララピールのメリットとデメリットを教えてください。

ララピールのメリットは、角質層を無理に剥がすことなく角質ケアができる点です。基本的には肌に負担がかかりにくい施術となっていますが、一時的な乾燥や赤みなどの症状が出るケースがあるというデメリットがあります。ただし、ほかのピーリングと比べ極力デメリットを極力抑え角質ケアができる施術です。

ララピール施術は痛いですか?

肌状態により感じ方には個人差がありますが、主成分はどれも肌に優しいため塗布したときに痛みを感じることはほとんどないでしょう。施術後も痛みを感じるケースは少なく、敏感肌の方も受けていただきやすい施術となっています。

施術によって肌荒れすることはありますか?また、肌荒れを防止するための方法はありますか?

ララピールは、従来のケミカルピーリングとくらべて肌への負担が少ないピーリングです。ただし、肌質や施術を受ける時点での肌状態によっては、ララピールの施術が刺激となり肌荒れにつながる場合もあるかもしれません。
肌荒れ防止のためには、ララピールの施術中に肌のピリ付きがないかご注意ください。もし、施術中にピリ付きを感じた場合は直ちにお申し出ください。すぐに施術を中止し、水でよく洗い流して保湿ケアをいたします。

注意していても肌が荒れてしまった場合はどのように対処すれば良いですか?

注意しても肌荒れが起きた場合、まずは直ちに病院を受診し、医師に相談して処方を受けてください。肌が正常に戻るまでは保湿ケアが大事です。保湿クリームをこまめに塗り、水分補給のためにも水をたくさん飲んでください。

好転反応が出る場合はありますか?

角質内に潜んでいたニキビが、ララピールによって角質が除去されたことで一時的に表面化する場合があります。おおよそ2~3週間で落ち着きますが、それより長く持続する場合は医師にご相談ください。

施術前・施術後の注意事項はありますか?

■施術前
下記2点にご注意が必要です。
1. 顔そり・日焼け・スクラブ洗顔など肌に負担となることは避けてください。
2. 1ヶ月以内にほかの施術(ピーリング・レーザー・光治療・脱毛など)を受ける予定がある場合は、医師にご相談ください。

■施術後
下記2点にご注意が必要です。
1. 保湿クリームと日焼け止めを最低3日間は必ず塗ってください。また、トレチノインやレチノール配合のスキンケアを使用している場合は、事前に相談してください。
2. 他の美容医療は、ララピールの施術後に一定の期間を開けてから受けてください。

敏感肌でも施術可能ですか?

はい、敏感肌の方でも施術を受けていただけます。従来のピーリング製剤と比べ角質をゆっくりと除去するため、肌への刺激が少ないのがララピールの特徴です。

ただし、肌の状態によっては赤みや痛みを感じる場合もあります。もし施術中にピリつきを感じた場合は直ちにお申し出ください。すぐに施術を中止し、水でよく洗い流して保湿ケアをいたします。また、施術後に肌へ異常が生じた場合は医師にご相談ください。

施術後、メイクをしても大丈夫ですか?

はい、施術後にメイクできます。ララピールは肌への刺激が少ないピーリングのため赤みやダウンタイムは起こりにくく、すぐにメイクをしても問題ありません。忙しくて休みがとれない方も施術を受けてもらいやすいでしょう。

全体の施術時間はどれくらいですか?

施術内容やカウンセリングにより差がありますが、基本的には30分程度です。

ララピールと併用可能な施術は何ですか?

ララピール施術をしたあとの肌は不要な角質が除去されており、普段よりも浸透しやすい状態となっています。ほかの施術と併用することで、より効果が高まる可能性があります。ララピールと併用できる施術は多くありますので、詳しくは医師にお尋ねください。

ただし、ほかのピーリング施術との併用は肌への刺激が強すぎるためご遠慮いただいています。

ララピールの効果はいつから実感できますか?また、何回施術を受けるとより効果を感じやすいですか?

個人差があり1回でも効果が感じられることもありますが、肌への刺激が少ない分、施術回数を重ねることをおすすめしています。2~4週間隔で3~5回受けていただくことで、内側からふっくらとした肌に導きます。

アレルギー成分は入っていますか?

極微量であるためアレルギー表記対象ではありませんが、以下の成分が含まれています。
・ララピール ベーシック:リモネン
・ララピール ウルトラ:リモネン、シトラル

ララピールベーシックとララピールウルトラの違いを教えてください。

どちらも同じ成分が配合されていますが、2回目に使用するララピールウルトラには、ララピールベーシックの成分が2倍の濃度配合となっています。まずララピールベーシックで肌をアルカリになじませ、ララピールウルトラで角質ケアしながら有効成分を角質層まで浸透させるという流れです。

P-sol™はどんな物質ですか?

P-sol™(ピーソル)は組成物で、オリーブオイルなどさまざまな天然オイルから作られるアルカリ成分です。肌の引き締め効果や肌表面の保護などの効果が期待できます。

ララピールが強アルカリ性なのはなぜですか?強アルカリ性なのに肌に刺激が少ない理由も教えてください。

線維芽細胞の活性化を誘導し、コラーゲンや繊維組織を再構築するP-sol™(ピーソル)は、強アルカリ性の条件下で効果的に肌へ働く成分であるためです。強アルカリ性ではありますが、製造工程で親水化(Hydrogenation)されているため、ララピールは肌への刺激が少なくなっています。

ララピールは妊娠中でも受けられる施術ですか?

妊娠中や授乳中の施術はお受けできません。妊娠中や授乳中のケアを希望される方は、可能な施術をご提案いたしますのでお申しつけください。

施術詳細:ララピール
施術にかかる時間:30分程度※カウンセリングや施術内容により個人差あり
施術回数の目安:5~10回/1クール※肌状態に応じて提案
施術期間の目安:2週間~1ヶ月※最短1週間に1回の頻度で治療可能
入浴・洗顔:施術後当日より可能
メイク:肌に異常がない場合は施術後当日より可能
禁忌:次の方は施術をお受けいただけません。
・妊娠中・授乳中の方
・皮膚に炎症や傷がある方
・アトピー性皮膚炎の方
・アレルギー体質の方
・肌の調子が悪い方
・施術部位に真菌性疾患、ヘルペスなどがある方
・強い日焼け後、もしくはこれから日焼けする予定のある方
・妊娠中、授乳中の方
※詳細は医師にお尋ねください。
注意事項:次の方は施術を受ける場合、事前に慎重な検討が必要です
・ピーリング、トレチノイン、高濃度ビタミンA配合の化粧品をお使いの方
※ご使用中の場合はご相談ください。
副作用・リスク:一時的な赤み、乾燥、ひりつき、かゆみ、違和感など
使用機器について:
・ララピールの治療には、国内未承認医薬品または医療機器を用いた施術が含まれます。
・治療に用いる医薬品および医療機器は、当クリニックの医師の判断のもと、MD Skin Solutions社より個人輸入手続きを行ったものです。
・同一成分や性能を有する他の国内承認医薬品はありません。
・諸外国における安全性等に係る情報
-欧州CE認証を取得しています。

WEB予約
RESERVATION
24時間受付
WEB予約はこちら
アイコン RESERVATION